$799,950
15439 9th Avenue SW, Burien, WA 98166
15439 9th Avenue SW, Burien, WA 98166

MLS #2513150 / Listing provided by NWMLS & Merrick Realty LLC.

$799,950

15439 9th Avenue SW
Burien, WA 98166

Active 21 hours ago

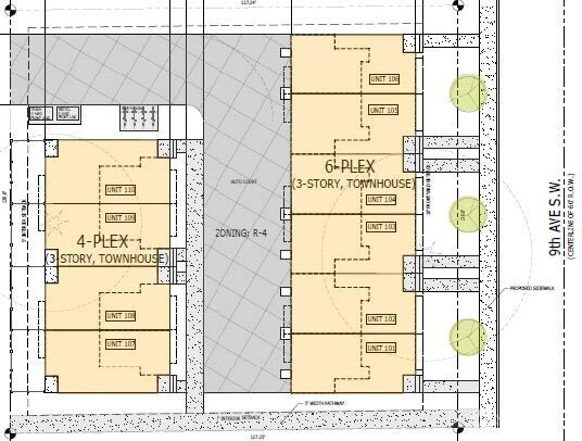
Attention Builders and Developers! A new 10-unit townhome construction project in downtown Burien located just four blocks south and five blocks west of the city center with restaurants, shopping, library, and community activities & events. The location is also uniquely positioned 15 minutes from downtown Seattle, 10 minutes to Interstate 5, SeaTac airport, and the Westfield Mall. The townhome design features three bedrooms three and ½ baths single car garage and a rooftop deck on each unit.

Disclaimer: The information contained in this listing has not been verified by Hawkins-Poe Real Estate Services and should be verified by the buyer.

Interior Features

Bedrooms

  • Upper Level Bedrooms: 0

Fireplaces

  • Total Fireplaces: 0

Heating & Cooling

  • Heating: No
  • Cooling: No
Exterior Features

Lot Details

  • Acres: 0.3507
Area Features

Schools

  • High School District: Highline

Lot Details

  • Acres: 0.3507
Utilities

Water, Sewer, and Garbage

  • Sewer: In Street
  • Water Source: In Street
Mortgage Calculator
Amber Jensen

Amber Jensen
Broker | REALTOR®


Send Amber Jensen an email